family CERAMBYCIDAE Latreille, 1802
subfamily CERAMBYCINAE Latreille, 1802
tribe Clytini Mulsant, 1839
genus Neoclytus J. Thomson, 1860
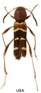
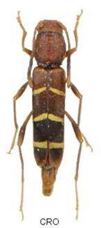
Neoclytus acuminatus acuminatus (Fabricius, 1775)




Velikost 6-15 mm.
Bionomie. Duffy (1953), Demelt (1956) a jiní uvádějí vývoj larev pod kůrou a později v běli mrtvého nebo odumírajícího dřeva, které zcela rozežere. Kuklí se v hloubce cca 2- 3 cm v povrchové vrstvě. Doba vývoje jeden rok, v extrémních teplých podmínkách jihu USA může být údajně i tři měsíce. - Imaga se vyskytují od V.-VI. do - VIII.
Živné rostliny - V Evropě se uvádí Ulmus, Populus, Morus, Castanea, Fraxinus, Robinia, Corylus, Vitis, Quercus, Rosacee, Tilia, Salix, Carpinus.